網友在臉書社團上po出幾張估價單,想詢問大家是否合理?!
朋友母親在路口跟人發生小擦撞。
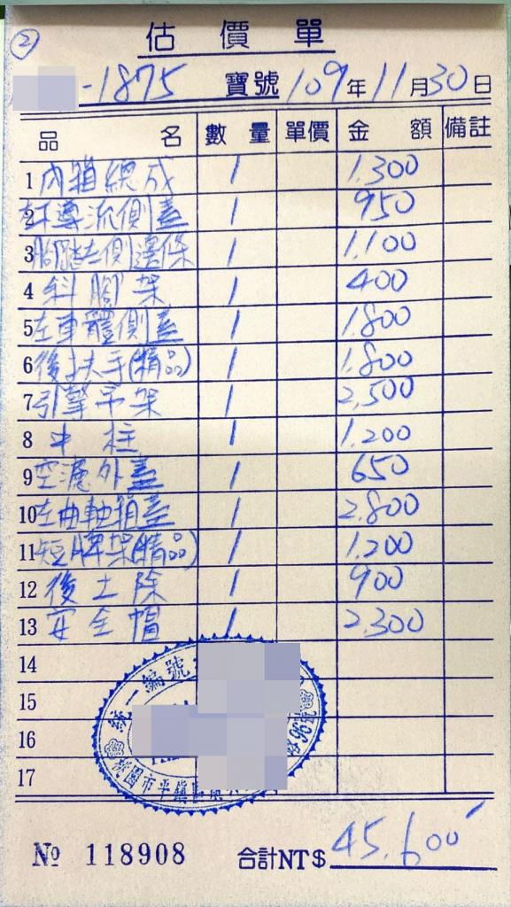
老人家態度也直接表明她責任比較高,肇責比例報告還沒出來前就有表明願意負責賠償,但是對方提供這樣的報價單真令他傻眼!
(圖/網友提供)
給認識車行看了這份報價單,他只是笑了笑說這是灌水單
明明前面只是個小擦撞哪有可能換到這些?
(圖/網友提供)
像是沒換到三角台哪有可能拆珠碗?於是就跟車主談,他也開始滋滋嗚嗚的……..
今天出事了我們不是不處理,合理範圍多一點我們也都會願意,但是下面這種報價單擺明就是在誆人了!
看到估價單後大部分的人都認為對方是想藉「車禍順便換新」!
也有網友更直接表示換了這一大坨東西難道是被卡車給撞到了?
「都要換到中柱,是被大卡車撞到喔!」
「連傳動都要換,笑死。」
「零件還偷用精品,原廠優先吧!」
「光修的價格就要4萬五了…要不要乾脆說買一台新的阿嘖嘖」
因為這報價離譜到讓人覺得是不是想換新車,還是覺得負責方長的像盤子?
有不少人直接表示
「千萬別和解!直接給法官裁決,法官那會評估這估價單的合理性。」
「直接跟警察說還要重新再撞一次!這次要整個撞爛壞掉的才會賠!」
「這張單看起來,騎車的不死也半條命了。」
「可要求拆卸拍照存証輔助清單之項目」
「私下和解是你們的事,要上法院就沒有『精品說』。本人我走過,也裝精品,法院判賠原廠,精品可說是非法改裝,還有牌框,原廠本來沒附也不用賠!」
「後土除也換是勒三小?」
擺明想把人家當盤子阿
延伸閱讀————
加入我們的Line群 「噩夢阿姨」,聽更多恐怖的傳說!
延伸閱讀>>>>>>>>
想聽更多社會案件/懸疑故事
👉https://reurl.cc/RbkOd9 歡迎訂閱『惡夢阿姨』
延伸閱讀————————
心理測驗/該點珍奶還是蘇打?4種飲料看出你的社交著力點
人際關係上,每個人或許都有不一樣的處理方式,也會產生不一樣的習慣。有時,這些習慣可以幫助雙方之間可以建立出良好的關係,有時卻會因為這些習慣而導致對立和誤解。你的人際關係模式是怎麼樣的呢?日本Trill近期就推出了一則心理測驗,讓讀者能夠透過炎炎夏日最想喝的飲料,看出每個人在人際關係處理上應該特別注意的地方。
A:柳橙汁B:珍珠奶茶
C:冰咖啡
D:漂浮蘇打
A:給選擇「柳橙汁」者的人際關係建議:保持謙虛
身為團體中心人物的你,在眾人面前常常是最受矚目的,許多人因此會在遇到問題時找你商量。特別是年紀或輩份比你小的人,在他們眼中,你是值得仰慕並崇拜的角色。然而,對於長輩或年紀大的人而言,你卻可能是礙眼的存在。
因此,你應該提醒自己,要時時刻刻注意謙虛,才能夠得到更多人願意著你一臂之力。即使只是表面上,也應該尊敬前輩。
B:給選擇「珍珠奶茶」者的人際關係建議:能收能放
天真爛漫的你,身邊的朋友總是源源不絕,爽朗的性格有時也能融化他人的心,因此備受眾人喜愛。然而,不太穩重的性格和有些性急的個性,或許也會為你招致誤解。放蕩不羈的人有時候會博得大家的喜愛,但是如果放鬆太過頭,恐怕就不是開開玩笑就能帶過去的事了。
有些時候,也讓其他人看看你認真的一面,該動手的時候還是要動手的!
C:給選擇「冰咖啡」者的人際關係建議:時常微笑
你對人際關係或許有點過度拘謹,因此第一印象上總是給人難以相處的感覺。然而,或許是由於非常認真穩健的性格,時間一久了,大家也會對你產生強烈的信賴。
認真的你所給予人們的安心感,可以稱得上是你的魅力。或許在第一次見面的人面前,盡量展現出笑容,會更容易產生好印象喔。
D:給選擇「漂浮蘇打」者的人際關係建議:持之以恆
對什麼事情都抱有好奇心勇於嘗試的你,即使是其他人嫌麻煩的事情,你都會勇於嘗試,這也因此成為了你可愛的地方。
然而另一方面,對事情沒耐性或許是你最大的劣勢。如果能夠養成持之以恆、堅持到底的習慣,對你來說會更加分喔!
(13427)





